Présentation du futur groupe scolaire aux parents d’élèves

by Stéphane Skladanowski | 1 juillet 2018 19 h 56 min

Le lundi 18 juin, s’est déroulée à la salle des fêtes une réunion de présentation du nouveau groupe scolaire et de l’école provisoire en présence de M. Gill Geryl et de l’architecte du projet. Ils ont répondu aux questions des parents d’élèves présents et ont pu les rassurer quant au fonctionnement de l’école provisoire. Le début des travaux pour le nouveau groupe scolaire est prévu pour le premier trimestre 2019.

 

 

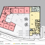
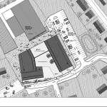
Vous trouverez ci-dessous les plans du futur groupe scolaire et de l’école provisoire :

Endnotes:
  1. [Image]: https://www.martineglise.fr/wp-content/uploads/2018/06/DSC_02111.jpg
  2. [Image]: https://www.martineglise.fr/wp-content/uploads/2018/06/DSC_0214.jpg
  3. [Image]: https://www.martineglise.fr/wp-content/uploads/2018/06/DSC_0213.jpg
  4. [Image]: https://www.martineglise.fr/wp-content/uploads/2018/06/DSC_0212.jpg
  5. [Image]: https://www.martineglise.fr/wp-content/uploads/2018/07/ecole1.jpg
  6. [Image]: https://www.martineglise.fr/wp-content/uploads/2018/07/ecole2.jpg
  7. [Image]: https://www.martineglise.fr/wp-content/uploads/2018/07/ecole3.jpg
  8. [Image]: https://www.martineglise.fr/wp-content/uploads/2018/07/ecole4.jpg
  9. [Image]: https://www.martineglise.fr/wp-content/uploads/2018/07/ecole6.jpg
  10. [Image]: https://www.martineglise.fr/wp-content/uploads/2018/07/ecole7.jpg
  11. [Image]: https://www.martineglise.fr/wp-content/uploads/2018/07/ecole8.jpg
  12. [Image]: https://www.martineglise.fr/wp-content/uploads/2018/07/ecole9.jpg
  13. [Image]: https://www.martineglise.fr/wp-content/uploads/2018/07/ecole10.jpg
  14. [Image]: https://www.martineglise.fr/wp-content/uploads/2018/07/ecole11.jpg
  15. [Image]: https://www.martineglise.fr/wp-content/uploads/2018/07/ecole12.jpg
  16. [Image]: https://www.martineglise.fr/wp-content/uploads/2018/07/ecole13.jpg
  17. [Image]: https://www.martineglise.fr/wp-content/uploads/2018/07/ecole14.jpg
  18. [Image]: https://www.martineglise.fr/wp-content/uploads/2018/07/ecole15.jpg
  19. [Image]: https://www.martineglise.fr/wp-content/uploads/2018/07/ecole16.jpg
  20. [Image]: https://www.martineglise.fr/wp-content/uploads/2018/07/ecole17.jpg

Source URL: https://www.martineglise.fr/presentation-du-futur-groupe-scolaire-aux-parents-deleves/